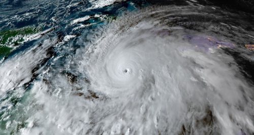
СЕ ОЧЕКУВА ДА БИДЕ НАЈЛОШАТА ОЛУЈА ВО ИСТОРИЈАТА: УРАГАНОТ МЕЛИСА ПРЕДИЗВИКА СЕДУМ СМРТНИ СЛУЧАИ И ЗНАЧИТЕЛНИ ШТЕТИ ВО КАРИБИТЕ!
Карибските острови се соочуваат со сериозна опасност по животите и имотот од ураганот Мелиса, кој веќе однесе најмалку седум животи. Тројца загинале на Јамајка, тројца на Хаити, а едно лице во Доминиканската Република, каде што едно лице сè уште се води како исчезнато.

На Јамајка, некои од смртните случаи се случиле при сечење дрвја и од електричен удар, а властите пријавиле и 15 повредени во падови од височина и сообраќајни инциденти.
Според Националниот центар за урагани на САД, Мелиса се приближува кон Јамајка како екстремно опасен ураган од категорија 5 со ветрови од околу 175 милји на час (280 км/ч). Се очекува да предизвика силни ветрови, обилни дождови и бура со високи бранови, а потоа ќе продолжи кон југоисточна Куба и Бахамите.
Властите апелираат до граѓаните да останат во безбедни простории и да ги завршат сите подготовки за заштита на животите и имотот.
БОНУС ВИДЕО!

КАФАНСКА НОЌ ВО САРАЕВО – 1 ноември 2025 | Скендерија | Почеток: 21:00 часот
Спектакл во најава! Аца Лукас, Мира Шкориќ и Мирослав Илиќ за првпат на иста сцена – во незаборавна „кафанска ноќ“ која ќе се одржи на 1 ноември во Скендерија, Сараево.
Емотивна, енергична и распеана вечер што ќе ги обедини сите генерации. Подгответе се за вечера исполнета со најголемите хитови и атмосфера што долго ќе се памети.
Купете карти ТУКА!

ГОЛЕМ КОНЦЕРТ ВО БЕЛГРАД – 10 и 11 декември 2025 | Сава Центар – Сината сала
Мирослав Илиќ на 10 и 11 декември ќе одржи две вечери со голем концертен спектакл во Сината сала на Сава Центар, Белград, во организација на Hype Entertainment.
Ова е можност што не се пропушта – две ноќи исполнети со емоции, музика и спомени. Не дозволувајте да ви ја прераскажуваат – бидете дел од магијата!
Билети можете да купите на следниот линк: КУПИ БИЛЕТ!
ЕВЕ КАКО ИЗГЛЕДА НОВИОТ ДЕЧКО НА СОФИ ТКАЧЕНКО! ГО УЛОВИ ПРИЈАТЕЛОТ НА СТЕФАН КАРИЌ – САКА ДА ЖИВЕЕ НА ВИСОКА НОГА?! (ФОТО)
ПОЧИНАЛ ПРЕД ОЧИТЕ НА СЕМЕЈСТВОТО, БРЗАТА ПОМОШ НЕ СЕ ПОЈАВИЛА ЦЕЛ ЧАС! МАКЕДОНЕЦ ТРАГИЧНО ГО ЗАГУБИ ЖИВОТОТ НА ОДМОР ВО АЛБАНИЈА!
ЈЕЛЕНА КАРЛЕУША ЗА АЦА ЛУКАС: „Има м*да, мозок и срце!“
ЛУКАС ГО ПОТОПИ СУТОМОРЕ! Атмосфера во „Хабана“ – публика во транс! (ВИДЕО)
БАКА ПРАСЕ И ОДГОВОРИ НА АЊА БЛА: „Никој не ја е*е ни три посто, а таа мене ме навредува и се*е дека сум најлош!“
„Ти беше мојот најголем пример за сила, чесност и борба…“ – трогателни зборови на пејачот Дарко Илиевски за последното збогум до својот татко!
ТАТКО ОТВОРИ ПЕРАЛНА ЗА АВТОМОБИЛИ ЗА ДА ГО ВРАБОТИ СВОЈОТ СИН СО АУТИЗАМ – СЕГА ВРАБОТУВА ПОВЕЌЕ ОД 90 ВОЗРАСНИ ЛИЦА СО АУТИЗАМ! (ФОТО)
ЖЕНАТА КОЈА ЖИВЕЕШЕ 122 ГОДИНИ, ГИ НАДЖИВЕА СВОИТЕ ДЕЦА И 17 ПРЕТСЕДАТЕЛИ – НЕЈЗИНИОТ ТРИК ЗА ДОЛГ ЖИВОТ ЌЕ ВЕ ШОКИРА!
НЕВЕРОЈАТНО! ОВАА МЛАДА МАЈКА ПОКАЖА ШТО ЗНАЧИ ДА СИ ВИСТИНСКА МУЛТИТАСКИНГ ЖЕНА! (ФОТО)
Нејзините гради се поголеми од кошаркарска топка: 7.120 милилитри импланти!
ПРИВЕДУВАЊА, ЗАКАНИ И ПРОНАЈДЕНО ОРУЖЈЕ – ВОЗНЕМИРУВАЧКА НОЌ ВО НЕГОТИНО, КАВАДАРЦИ И ЗАЈАС!
„БРАЌА ХРВАТИ, НЕ ПЛАШЕТЕ СЕ“ – ОДГОВОР ОД САША МИРКОВИЌ НА СРАМНИОТ ТЕКСТ НА СЛОБОДНА ДАЛМАЦИЈА! (ФОТО)
„МОРАМ ДА СЕ ИЗЛЕЧАМ!“ ОВОЈ ПЕЈАЧ ГО ПОКАЖА ДЕЧКОТО, А СЕГА ШОКИРАШЕ СО СООПШТЕНИЕ! (ФОТО)
СТАНИЈА ДОБРОЈЕВИЌ НАЈАВИ ВЛЕЗ ВО РИЈАЛИТИ! ГОРАТ СОЦИЈАЛНИТЕ МРЕЖИ ПОРАДИ НЕЈЗИНИОТ ПОСТ – СИТЕ ГО ЧЕКААТ ОДГОВОРОТ НА АСМИН ЃУРЏИЌ! (ФОТО)
БРИТНИ СПИРС ГИ ЗГРОЗИ ФАНОВИТЕ! ПЕЈАЧКАТА СЕ ПРИКАЖА ВО НАЈЛОШО ИЗДАНИЕ! (ФОТО)
ЧЕЛИЧНИОТ УРКО СЕ ПРИСЕТИ НА РАНАТА МЛАДОСТ: ПОГЛЕДНЕТЕ КАКО ИЗГЛЕДАЛ!
АДРЕНАЛИНОТ НА ДВА ТРКАЛА: МАКЕДОНСКИОТ ШАМПИОН ПЕТАР МИЈАЛКОВ ГО ОСВОЈУВА ЕВРОПСКИОТ ПОДИУМ! (ВИДЕО)
НЕРО ГЕРЛЕК СО НОВА ПОБЕДА! БОКСЕРСКАТА ЅВЕЗДА НАЈАВИ ГОЛЕМА БОРБА ВО СЕПТЕМВРИ!
СОКОТРА – РАЈ НА ЗЕМЈАТА КАДЕ ШТО 37 % ОД РАСТЕНИЈАТА НЕ ПОСТОЈАТ НА НИТУ ЕДНО ДРУГО МЕСТО! Откријте ги мистичните „дрвја од змејска крв“, пустинските рози и луксузот на одалеченото Јеменско царство! (ФОТО)
ТОШЕ ЌЕ СЕ СЛАВИ КАКО НИКОГАШ ДОСЕГА – 15 ЅВЕЗДИ НА ИСТА СЦЕНА, 5 ЧАСА ЕМОЦИИ И ХУМАНОСТ ВО ШТИП!
ДОЈАВА ЗА БОМБА ПРЕД НАСТАПОТ НА ЈАЛА И БУБА! Вистинска драма во Сараево!
МАРИО СТАВИ ТОЧКА! СЕ ОТКАЖА ОД ДИРЕКТОРСКАТА ФУНКЦИЈА И ИСТАКНА ДЕКА НЕ СЕ ПРОНАОЃА ВО ПОЛИТИЧКИТЕ ВОДИ! (ВИДЕО)
ЖИВОТОТ ГО ЗАГУБИ 20-ГОДИШНО МОМЧЕ ОД ОХРИД, ТРАГЕДИЈА НА ПАТОТ КОН БИТОЛА… ВТОРА ЖРТВА ВО СТРАШНАТА СООБРАЌАЈНА НЕСРЕЌА!
„САМО СО ТЕБЕ СÈ ИМА СМИСЛА!“ ЕМОТИВНА РОДЕНДЕНСКА ЧЕСТИТКА ОД СОПРУГАТА НА ИВАН – ЛИБЕРО! (ФОТО)
САНДРА АФРИКА ПРОГОВОРИ ЗА ВЕНЧАВКАТА! ПЕЈАЧКАТА ГИ ОТКРИ СИТЕ ДЕТАЛИ! (ВИДЕО)
„НЕМАМ НИЕДНО РЕБРО!“ ЛУНА ПРОЗБОРЕ ЗА ШПЕКУЛАЦИИТЕ ПОВРЗАНИ СО ЕСТЕТСКИТЕ КОРЕКЦИИ! (ФОТО)
Елена Ѓорговска ужива на летен одмор со НАЈВАЖНАТА ЛИЧНОСТ во нејзиниот живот! Еве за кого станува збор! (ФОТО)
ЉУПКА МИТРОВА РЕЧИСИ ГОЛА ТРГНА ПО БУРЕК – ГО СМЕСТИ ВО ПОРШЕТО И ЗАМИНА, ПРИСУТНИТЕ ГИ ОСТАВИ СО ПОДОТВОРЕНА УСТА! (ВИДЕО)
НАУМ ПЕТРЕСКИ СО ЕМОТИВНА ПОСВЕТА ЗА АНДРЕЈ ОД ДНК: НОВ ВИДЕО СПОТ ВО ЧЕСТ НА НИВНОТО ПРИЈАТЕЛСТВО! (ВИДЕО)
НА ОСТРОВОТ НА ГРЕВОТ: ДАНИЕЛ НИКОЛОВСКИ И НЕГОВИОТ ВТОР ДОМ!
МИРКО ШИЈАН И БОЈАНА РОДИЌ ФАТЕНИ ВО СТРАСТНА АКЦИЈА НА СРЕД ПЛАЖА! МЛАДИОТ БРАЧЕН ПАР НЕ УСПЕА ДА ГИ СКРОТИ РАЗГОРЕНИТЕ СТРАСТИ! (ФОТО)
„Ме влечеше по земја за коса!“ – Тара Симов ја открива вистината за НЕМИЛОСРДНИОТ НАПАД ВО ОХРИД! Погледнете ја цела вистина во најновата епизода на Скапирај Тару! (ВИДЕО)
ТРОЈНА СМРТ ВО БОЛИВИЈА: МАКЕДОНЕЦ И ДВАЈЦА СРБИ МАЧЕНИ И СПАКУВАНИ ВО ЦРНИ ЌЕСИ – ПРЕСМЕТКА ПОМЕЃУ НАРКО-КАРТЕЛИ!
„Денес тие те омаловажуваат, а утре ќе кажат- ох, некогаш ја познавав”: Ѓорговска врати на прозивката од Сергеј!
ЕВЕ КОЈ Е СТРУМИЧАНЕЦОТ КОЈ БЕШЕ УБИЕН И ФРЛЕН ВО ЦРНА КЕСА ВО БОЛИВИЈА! (ФОТО)
ТОШЕ ЗАФИРОВ И КАРЛЕУША „ФАТЕНИ“ ЗАЕДНО ВО ДУБАИ?! УЖИВААТ ВО НАЈЛУКСУЗНИОТ ХОТЕЛ – ЕВЕ КОИ ДЕТАЛИ РАЗОТКРИЈА СÈ!
ДРАГАНА СПАСОВСКА НА СЕПАРЕ СО ЛЕОНАРДО ДИ КАПРИО И ЏЕЈМИ ФОКС! ПРИВАТНА ЗАБАВА НА СЕН ТРОПЕ СО СВЕТСКИОТ ЏЕТ-СЕТ! (ВИДЕО)
БЕЗ ГРАМ ШМИНКА: МАКЕДОНКАТА СО ЕДЕН ОД НАЈУБАВИТЕ ЗАДНИЦИ ПЛЕНИ И КОГА НЕМА ФИЛТРИ!
ПОСТОЈАНО ГО ПРИКАЖУВАШЕ ЛУКСУЗОТ! Ана Кораќ сега СЕ ПОВЛЕЧЕ – сите се прашуваат што се случува! (ФОТО)
МАРИО Арангеловски СЕ СОБЛЕЧЕ ВО КУЈНА! Една банана и две јајца… Егзотика во новиот стан? Од задникот останувате без здив! (ФОТО 18+)
Еве зошто мажот не ја остава сопругата поради љубовничката!
СНЕЖЕ ВЕЛКОВ ГО ПОКАЖА ПРИРОДНИОТ ШАРМ ВО НОВОТО ВИДЕО ОД ПЛАЖА!
ХОРОР! Убиена мајка, прободен сопруг: Две жртви на семејно насилство за една ноќ во Штип!
СОФИЈА МАНЕВА: СРЕЌНО РАЗВЕДЕНА СУМ!
СВАДБА ВО СТРУМИЧКИОТ ЗАТВОР – НЕКА ИМ Е СО СРЕЌА НА МЛАДЕНЦИТЕ! (ФОТО)
ЗОКИ ДАВИТКОВ САКАШЕ ДА ОСТАНЕ МИСТЕРИОЗЕН: ДВЕ ЧАШИ, ЗА КОГО Е ДРУГАТА? ГО ПРАШАВМЕ, НИ ДАДЕ ОДГОВОР!
„МОНО АЛЕКС СО ФЕРАРИ ПО ВОДА: ДАЛИ ГО НАУЧИ АВТОМОБИЛОТ ДА ПЛИВА?“ (ФОТО)
ЕДИНСТВЕНИОТ МИЛИЈАРДЕР ВО МАКЕДОНИЈА: СКОРО И ДА НЕМА КОНТРОВЕРЗИ ЗА НЕГО
СПОМЕНИТЕ СЕ ВЕЧНИ – ЕВА ЗАЕВА ОБЈАВИ ФОТОГРАФИЈА ВО БЕЛО, А НА НЕБОТО – ЗНАК ЗА НЕКОГО ШТО ВЕЌЕ ГО НЕМА! (ФОТО)
ЕКСКЛУЗИВНО: ДОКУМЕНТАРЕЦ ЗА НЕЗАБОРАВНИОТ ЗОРАН ВАСИЛЕВСКИ ФАЦИ! – ЖИВОТ ПОЛН СО ПРЕДИЗВИЦИ: ФИЛМ КОJ СЕ ГЛЕДА СО СОЛЗИ ВО ОЧИТЕ! (ВИДЕО)
ЕКСКЛУЗИВНО! ХАЈП ТЕСТ СО АНТОНИА И ЏОКЕР: „ЖЕШКИТЕ“ МОМЕНТИ СЕ СЛУЧУВААТ ВО КУЈНА! (ВИДЕО)
СЕРГЕЈ ВАРОШЛИЈА: „НИТУ СУМ ЈА ВИДЕЛ, НИТУ СУМ ЈА СЛУШНАЛ ЕЛЕНА РИСТЕСКА ПОСЛЕ ПОМИРУВАЊЕТО!“ (ВИДЕО)
ЕКСКЛУЗИВНО ИНТЕРВЈУ! НИНА РЕД: „СУМ ПЛАЧЕЛА ПОРАДИ НЕГАТИВНИ КОМЕНТАРИ!“ (ВИДЕО)
ОКТАЈ СЕЈДИ: ИКОНА НА СТИЛОТ И ИНСПИРАЦИЈА НА НОВИТЕ ГЕНЕРАЦИИ! (ВИДЕО)
СЦЕНА КАКВА ШТО НЕ СМЕ ВИДЕЛЕ: СЕРГЕЈ ВАРОШЛИЈА ИЗДОМИНИРА, ОКТАЈ СЕЈДИ БЛЕСНА ВО ЕЛЕГАНЦИЈА, А НИНА РЕД ГО ЗАПАЛИ ПОДИУМОТ ВО ЦРВЕНО – ЉУПКА МИТРОВА ЗАДАДЕ ДОМАШНА ЗАДАЧА ВО МОДНАТА ИНДУСТРИЈА! (ФОТО)
ВНУКОТ НА ЗОКИ ФАЦИ СО ОСТРА РЕАКЦИЈА: „НОВИНАР ПРОБА ДА МЕ СВРТИ ПРОТИВ СТЕФАН, МУ ЈА ВИДОВ ОМРАЗАТА ВО ОЧИТЕ! ПРОБАА ДА ГО СРУШАТ, НЕ ИМ УСПЕА! ДОКУМЕНТАРЕЦОТ Е ЗА СЕКОЈА ПОФАЛБА!“
СЕ ОМАЖИ БИГ МАМА?! ПЕЈАЧКАТА ЈА ШОКИРАШЕ ЈАВНОСТА СО ТАЈНА СВАДБЕНА ЦЕРЕМОНИЈА?! ЕВЕ КАКО ИЗГЛЕДА ВО НЕВЕСТИНСКИ ФУСТАН! (ФОТО)
АНТОНИА И ЏОКЕР ГО ПОЛОЖИЈА ХАЈП-ТЕСТОТ НА ЉУБОВТА: СМЕА, ИНТИМНИ ПРИКАЗНИ И ЕДЕН НЕСАКАН БАКНЕЖ ВО КОЛА! (ВИДЕО)
ЕСТРАДЕН СУДИР НА ТИКТОК: ЛУКА ЧОМБЕ И ТАСКО ВО ЖЕСТОКА РАСПРАВИЈА! „КУЧИЊАТА ЛААТ, КАРАВАНОТ СИ ВРВИ“ – ЛУКА ЧОМБЕ ЖЕСТОКО МУ ВРАЌА НА ТАСКО!
ЛАЗАРОВ МЕТА НА КРИТИКИ ОД БЛИСКИ ЛУЃЕ НА ЗОКИ ФАЦИ! ЈА ОТКРИ ЦЕНАТА ШТО ЈА ПЛАТИЛ ЗА ДОКУМЕНТАРЕЦОТ ВО ЧЕСТ НА ЗОКИ: „ИНВЕСТИРАВ СВОИ ПАРИ, НЕ ЗЕМАВ ДЕНАР!“
АЦО ПЕЈОВИЌ ДОАЃА ПИЈАН ДОЦНА ДОМА! СО ТОА И СЕ ПОФАЛИ – „ЅВЕЗДА ЗА ПРИМЕР!“
По 9 месеци зад решетки: Дијана ОГ пуштена во куќен притвор – поддршка од македонските ѕвезди!
ЛУНА СТЕФАНОСКА: ВО ДЕПРЕСИЈА СУМ! (ВИДЕО)
КОЈА Е НОВАТА ДЕВОЈКА НА БАКА ПРАСЕ? Работела во ресторан, студира тежок факултет! (ФОТО)
ИНСТАГРАМОТ НА КАРЛЕУША ПОВТОРНО ИЗБРИШАН!
СНЕЖЕ ВЕЛКОВ ГО ДОБИЛА ИМЕТО ПО „СНЕЖАНА И СЕДУМТЕ ЏУЏИЊА“ – БРАТ И ГО ДАЛ ПРЕДЛОГОТ! (ФОТО)
МАКЕДОНСКАТА ПЕЈАЧКА ГО ПОДИГНА ПУЛСОТ НА ПЛАЖА! БУЈНО ДЕКОЛТЕ И ЕДЕН ДЕТАЛ КОЈ СИТЕ ГО ЗАБЕЛЕЖАА! (ФОТО)
ТУРСКАТА ЅВЕЗДА ПОЗНАТА КАКО НИГАР КАЛФА ВО ПРЕГРАТКИТЕ НА НАШИОТ ОКТАЈ! ФИЛИЗ АХМЕТ ГО ПОСЕТИ СКОПСКИОТ СТИЛИСТ И РОДНОТО СКОПЈЕ! (ФОТО)
„БЕВ ЛУТА ГО ОДБИВАВ ПРОБЛЕМОТ, ГИ ОБВИНУВАВ РОДИТЕЛИТЕ!“ – ИСИДОРА ЈА РАСКАЖА СВОЈАТА ПРИКАЗНА ЗА ПРОБЛЕМОТ „АГЕНЕЗА НА МАТКА“! – „РЕАКЦИЈАТА НА КУН БЕШЕ НЕВООБИЧАЕНА…!“ (ВИДЕО)
Сидни Свини го украде шоуто на венчавката на Џеф Безос – сите погледи вперени во неа!
МАРКО ТАСЕВСКИ ИНДИГО: „НЕ МОЖЕ ДА ЗГРЕШИ НЕКОЈ ШТО ЗНАЕ ДА ЦРТА!“ (ВИДЕО)
„ВО НАРЕДНИОТ ПЕРИОД ЌЕ СЕ ПОСВЕТАМ НА ИМЕТО, ЛИКОТ И ДЕЛОТО НА БОШКО ЈАНКОВИЌ!“ Саша Мирковиќ решен да ја разоткрие ТРУЛОСТА на домашната естрада!
ЧИТАЈТЕ НЕ НА НАШИОТ ПОРТАЛ HYPE.MK!
СЛЕДЕТЕ ГИ НАЈНОВИТЕ ВЕСТИ НА VIBER, INSTAGRAM: @hypetv.mk!
ПРЕТПЛАТИ СЕ НА YOUTUBE KANALOT – HYPE MK ЗА СИТЕ НАЈНОВИ ВЕСТИ НА ЕСТРАДАТА!
ХАЈП МК/Т.С./Извор: Ејбиси њуз
